
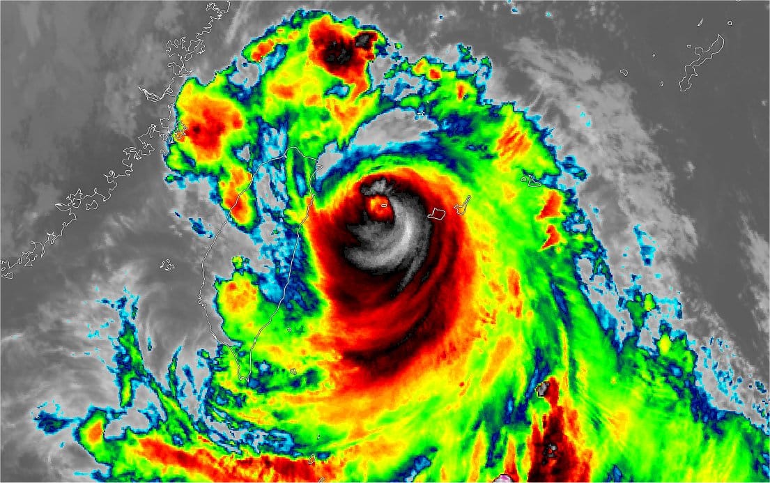
Malakas à l'approche de l'île Yonaguni-jima le 17 septembre - Satellite Himawari-8
Le typhon Malakas succède à Meranti et a frappé le 17 septembre l'extrême sud-ouest de la préfecture d'Okinawa au Japon.
A son arrivée, un vent moyen sur 10 min de 162 km/h et une rafale à 240 km/h ont été relevés à Yonaguni-jima. C'est comme attendu le quadrant nord du typhon (quadrant le plus puissant), qui a produit cette rafale de vent extrême.
Sur l'île voisine de Tokorono, la rafale maximale s'est élevée à 189 km/h.
L'oeil du typhon est passé très près de Yonaguni-jima et la pression atmosphérique est tombée à 936.9 hPa comme en témoigne le graphe de pression combiné aux vents moyens maximaux ci-dessous :

Graphe combiné vent moyen/pression - les heures locales figurent en abscisse - Données JMS
L'image satellite thermique Himawari-8 a été capturée à 01h20 UTC, soit 10h20 locales et montre le centre de Malakas impacter l'extrême sud de l'archipel d'Okinawa, et donc Yonaguni-jima :

Malakas est finalement passé assez loin du nord-est de Taïwan. Quelques rafales proches de 100 km/h ont été enregistrées et des pluies parfois fortes se sont abattues sur le centre de l'île (localement 150 mm).