Le panorama des actualités convectives en France et dans le Monde.
Première tornade de la saison en Ontario (Canada)
La première tornade de la saison s'est abattue sur l'Ontario au Canada le 17 mars. Environnement Canada a classé cette tornade en intensité EF1. Des dommages typiques d'une tornade de cette intensité ont été observés près de Clifford. Il s'agit de la tornade la plus précoce jamais recensée dans l'Ontario.



Tornade au Paraguay le 16 mars
Une tornade a été observée au Paraguay le 16 mars dernier. Le phénomène, très esthétique et n'ayant a priori causé aucun dégât a été filmé par des témoins près de Capitán Bado, en zone frontière avec le Brésil.
Violents orages entre Texas, Ohio et Illinois cette semaine
La saison des orages est lancée aux USA. Les premiers phénomènes violents ont concerné le Midwest et le Texas au cours des derniers jours. Supercellules tornadiques, arcus impressionnants ont frappé l'Illinois le 15 mars.
Une tornade nocturne a été photographiée et filmée près de Springfield :

Durant la nuit, Chicago a été balayée par des orages. Un impact de foudre a frappé la plus haute tour de la ville :

Toujours le 15 mars, une spectaculaire microrafale a été photographiée par Andrew Pritchard près de Manchester, dans le même état de l'Illinois :

Deux jours plus tard, le 17 mars,, c'est le Texas qui a été frappé par des orages supercellulaires qui ont produit des chutes de grêle destructrices. Des structures convectives très bien dessinées ont par ailleurs été capturées comme cet arcus photographié par Ryan Watters près de Clarksville :


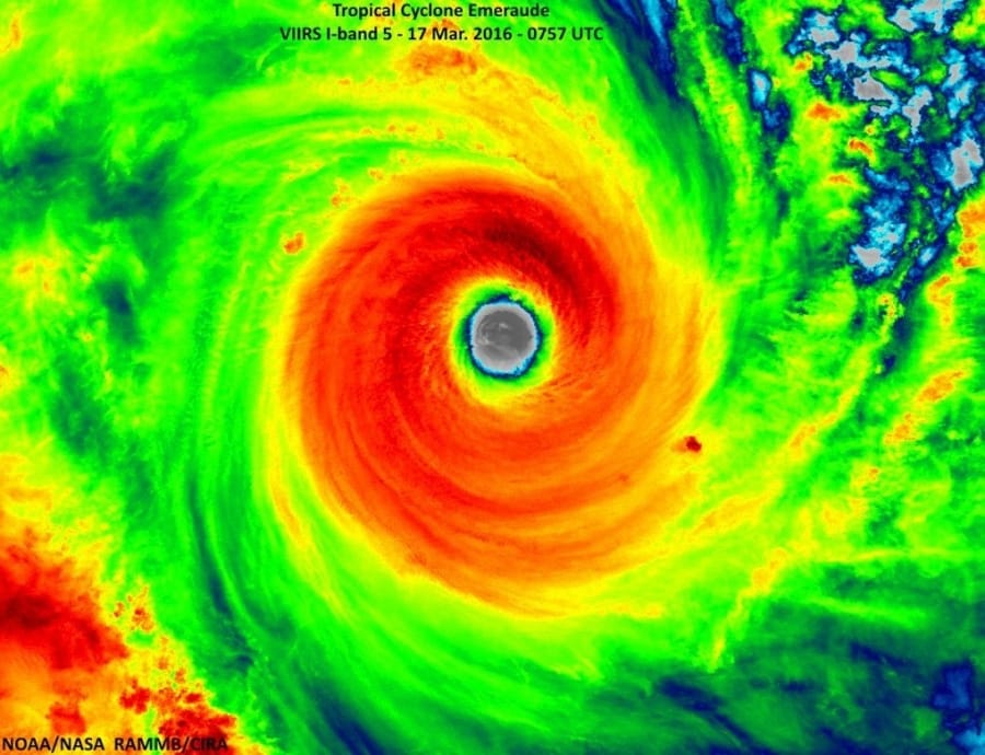
Cyclone Emeraude dans l'Océan Indien
Le cyclone tropical Emeraude s'est rapidement intensifié le 17 mars dans l'Océan Indien. Très vite, le système a atteint la catégorie 4 avec des vents moyens sur une minute estimés à 125 noeuds par le JTWC. Le lendemain, le cyclone s'est affaibli de façon spectaculaire en tempête tropicale. Le cyclone n'a menacé aucune terre habitée et devrait à nouveau s'intensifier, en restant éloigné de toute terre.

Sprites observés depuis l'ISS le 14 mars
Des sprites ont été photographiés depuis la Station Spatiale Internationale au-dessus de l'Afrique du Sud le 14 mars :
