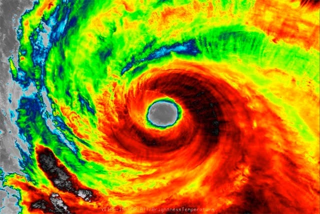
Image satellite IR VIIRS du 5 juillet à 16h20 TU - CIMSS
9 juillet 20h TU : Neoguri, tempête tropicale génère de très fortes pluies sur le Japon
Neoguri a continué de faiblir ces dernières 24h et et à présent unE tempête tropicale. La tempête génère de fortes pluies sur l'ouest du Japon. Sur l'île de Shikoku, des lames d'eau horaires de 60 à 70 mm sont observés. Des cumuls supérieurs à 150 mm sont d'ores et déjà enregistrés. Les fortes pluies qui vont se poursuivent constituent à présent le seul danger sur l'ouest du Japon, les sols ayant été saturés avant l'arrivée de Neoguri.
Le typhon a été analyé par le satellite TRMM de la NASA le 8 juillet. On distingue des sommets convectifs très profonds dans le mur de l'oeil. Certains d'entre eux ont culminé à plus de 16 km d'altitude. Les intensités des pluies analysées par le radar TRMM ressoretaient à plus de 115 mm/h :
8 juillet 16h TU : Neoguri faiblit lentement
Le typhon Neoguri continue de faiblir quelque peu cet après-midi. Son oeil n'est plus très bien dessiné sur l'imagerie satellite conventionnelle. L'image micro-ondes révèle toutefois la persistance d'un mur de l'oeil bien constitué. Sous l'influence d'un thalweg d'altitude positionné au nord-ouest, Neoguri commence à incurver sa trajectoire vers le nord-est. Il se dirigera ainsi vers l'ouest du Japon mais devrait encore faiblir significativement si bien que le typhon pourrait être à ce moment là rétrogradé en tempête tropicale. A son passage à environ 150 km d'Okinawa, le typhon a généré des rafales de 203 km/h sur l'île de Tokashiki. La menace principale réside à présent dans le risque de très forts cumuls de pluie.
Hier soir, le typhon a été pris en photo depuis la Station Spatiale Internationale. Les clichés révèlent une structure nuageuse particulière depuis l'oeil du cyclone vers son quadrant nord-ouest. Ceci est également bien identifiable sur l'image satellite VIIRS présentée ci-dessous à gauche. La cause de ce phénomène est totalement inconnue mais ce n'est pas la première fois que cela est observé. Une même signature s'était manifestée au sein du typhon Jelawat en 2013.
Image satellite VIIRS à gauche et typhon vu depuis l'ISS à droite

Oeil du typhon vu depuis l'ISS
8 juillet à 08h TU : Des rafales à 200 km/h sur Okinawa
Neoguri est situé ce matin à environ 200 km de Kadena (Japon). La partie la plus intense du typhon évite partiellement Okinawa. Toutefois, des rafales comprises entre 180 et 200 km/h ont été relevées à Naha, Itokazu ou Tokashiki. L'imagerie radar ci-dessous illustre le fait que l'île principale d'Okinawa est actuellement balayée par des orages très pluvieux. Des lames d'eau proches de 100 mm sont d'ores et déjà relevées.
Au cours de la nuit, la pression s'est abaissée à 965 hPa à Miyakojima. Ce secteur est également resté assez éloigné du mur de l'oeil du typhon. Les observations au sol confirment donc la puissance de Neoguri, qui est un typhon de catégorie 3 avec des vents soutenus atteignant 220 km/h avec rafales à 250/260 km/h.

Ces dernières heures, le typhon a maintenu une structure aboutie. L'imagerie satellite micro-ondes suggère toutefois que le quadrant nord-ouest reste érodé par une advection sèche à l'étage moyen en provenance du nord-ouest.
7 juillet à 21h TU : Neoguri pourrait être à son pic d'intensité
Ces dernières heures, la convection s'est erodée sur le quadrant nord du système en raison d'un afflux d'air sec dans les couches moyennes. De l'air plus sec positionné au nord-ouest du typhon a en effet été ingéré par le cyclone. Ainsi, l'intensité de Neorugi est abaissée à 110 noeuds - catégorie 3, et devrait la maintenir jusqu'à mardi matin. Par la suite, un affaiblissement progressif est envisagé. Le diamètre de l'oeil a diminué de 60 km à 45 km environ. L'animation satellite ci-contre (observations issues de COMS-1 et METEOSAT) illustre bien cet affaiblissement.Toutefois la convection profonde s'amplifie à nouveau ce soir dans le mur de l'oeil et en périphérie. L'imagerie satellite met clairement en évidence la formation de noyaux convectifs profonds et bien froids sur les quatre quadrants proches de l'oeil du typhon. Une phase de remplacement du mur de l'oeil est possible à tout moment mais n'est pour l'heure pas anticipée.
Enfin, 'image radar témoigne de l'approche du typhon près des îles d'Okinawa. Des rafales de vent de 120 à 140 km/h ont été relevées à Miyakojima, Naha, Kerama et Shimoji. La pression relevée à Miyakojima est de 968 hPa à 20h TU (heure française).
Ce soir, le CIMSS a publié différentes images satellite du typhon, notamment l'analyse VIIRS de 16h TU le 5 juillet, au moment où Neoguri était en phase d'intensification rapide. Des sommets convectifs particulièrement froids (-85°C) sont mis en évidence :
7 juillet à 14h TU : alerte maximale sur Okinawa, premiers effets cycloniques
L'agence météorologique japonaise a étendu son alerte maximal (Emergency weather warning) à l'île principale d'Okinawa. Les premiers effets cycloniques se font sentir à l'approche du super typhon. Des vents moyens sur 10 minutes de 60 à 70 km/h et des rafales à 100 km/h sont ainsi relevés à Miyakojima. De fortes vagues commencent également à déferler sur les littoraux.
L'imagerie radar de l'archipel japonais montre l'avancée de Neoguri, qui se situe encore assez loin d'Okinawa. La périphérie du mur de l'oeil commence toutefois à être détectée. L'animation satellite ci-dessous, mise à jour en continu, met en évidence un affaissement de la convection profonde sur le quadrant nord du système (de l'air sec continue d'être advecté par le nord) avec un réchauffement des sommets convectifs. De nouveaux développements convectifs se produisent toutefois sur sa partie sud. Neoguri demeure un dangereux super typhon de catégorie 4.
6 juillet : le super typhon Neoguri touchera Okinawa lundi matin
Le typhon Neoguri a continué de se renforcer lentement ces dernières 24h. Il présente désormais une structure robuste, bien circulaire avec une circulation très bien organisée à tous les niveaux. Durant ces dernières heures, son oeil s'est dilaté significativement et la convection profonde se montre très intense dans le quadrant sud du mur de l'oeil d'après l'imagerie satellite micro-ondes (cf. animation ci-dessous). La température au sommet des nuages pointe jusqu'à -80°C.
D'ici une douzaine d'heures, les îles d'Okinawa dans le sud de l'archipel japonais commenceront à être impactées par le typhon, qui se sera vraisemblablement intensité en catégorie 5.

Typhon Neoguri vu depuis l'ISS dans la nuit du 5 au 6 juillet
5 juillet : un typhon particulièrement puissant menaçant le Japon
Neoguri est ce samedi 5 juillet un typhon de catégorie 4 et continue de s'intensifier rapidement dans l'ouest du bassin Pacifique. Il atteindra vraisemblablement la catégorie 5 dans le courant de la journée.
Le début de saison, comme dans l'Atlantique, est actif dans l'ouest du bassin Pacifique. En effet, dans les prochaines 24 à 48h, Neoguri devrait produire des vents soutenus de l'ordre de 150 noeuds (278 km/h), selon la prévision du JTWC (Joint Typhoon Warning Center) et du JMA (Japan Meteorological Agency).
Le typhon va poursuivre une trajectoire ouest/nord-ouest qu'il incurvera ensuite vers le nord-ouest. Ainsi, il pourrait balayer l'archipel d'Okinawa dans le sud du Japon. Ces îles sont fréquemment frappées par des typhons intenses mais Neoguri représente une réelle menace tant par les vents très violents que par l'onde de tempête qu'il pourrait générer.
Le typhon Neoguri le 5 juillet 2014 à 06h32 TU.
La simulation du modèle GFS, en résolution 50 km est particulièrement éloquente. Des vents soutenus supérieurs à 200 km/h sont en effet envisagés pour le 7 juillet à 9h TU soit dans 48h. La pression au niveau de la mer pourrait s'abaisser excessivement bas. La résolution de GFS n'est en effet pas assez fine pour anticiper le minimum de pression qui sera atteint au coeur du typhon. Des valeurs inférieures à 910/920 hPa ne sont pas exclues - GFS modélisant un minimum inférieur à 955 hPa, ce qui est déjà particulièrement bas pour une modélisation en résolution 50 km. Enfin, la teneur en eau précipitable de la colonne troposphérique pourrait atteindre des niveaux exceptionnels avec près de 95 mm :
GFS - Vents soutenus, pression mer et eau précipitable pour le 7 juillet à 9h TU
Cette actualité sera régulièrement mise à jour en fonction de l'évolution du système.













