Le typhon Nepartak est le premier système tropical de l'année dans le bassin du Pacifique nord-ouest, ce qui en fait le deuxième le plus tardif depuis 1950.
Ce dernier s'est rapidement intensifié les 5 et 6 juillet pour devenir un super typhon de catégorie 5 en un peu plus de 24h seulement. Il est ainsi le système tropical le plus intense observé dans l'hémisphère nord depuis le début de l'année 2016.
L'animation satellite infra-rouge fournie par le CIMSS montre l'intensification rapide du système. On aperçoit sur la vidéo la propagation des ondes de gravité générées par les poussées convectives successives qui ont favorisé l'intensification du système :
Dans la nuit du 6 au 7 juillet et au petit matin du 7 juillet, le super typhon a conservé son organisation. Après un pic d'intensité estimé à 150 noeuds de vents soutenus (278 km/h), Nepartak maintient une intensité proche de 260 km/h en abordant les îles situées au sud-est de Taïwan.
L'animation satellite du système au coucher du soleil le 7 juillet montre un typhon extrêmement puissant :

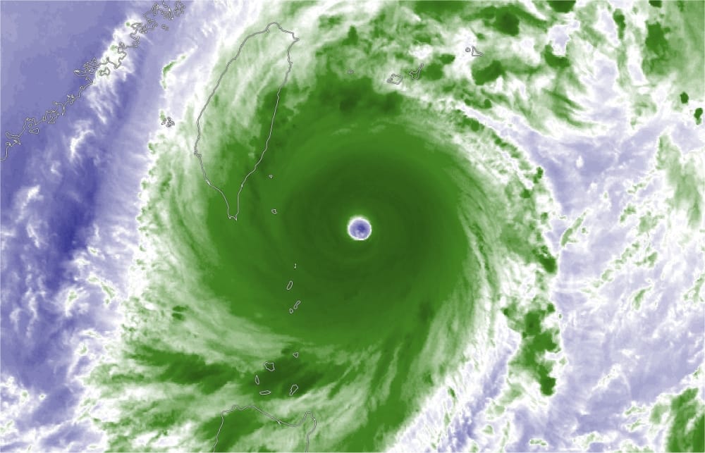
Les images infra-rouge (à gauche) et vapeur d'eau (à droite) illustrent également la puissance du typhon. Une circulation cyclonique parfaite et une température bien chaude au centre de l'oeil du cyclone (-14°C) sont analysées :
Images Himawari-8 / CIMSS
Taïwan impacté les 7 et 8 juillet
Le super typhon poursuit sa progression vers l'ouest/nord-ouest et impactera l'île de Taïwan le 7 juillet en fin de journée et la nuit suivante.
Des vents violents, supérieurs à 200 km/h sont attendus sur l'est de l'île, très accidenté et moins densément peuplé que la façade occidentale. Néanmoins, c'est l'ensemble de l'île qui devrait être concerné par des pluies diluviennes et de violentes rafales de vent. Nepartak devrait en effet traverser l'île de part en part, avant d'émerger au large de Quanzhou en Chine continentale.
+ A 12h UTC le 7 juillet, de très grosses vagues concernaient déjà le sud-est de l'île. Les vents sont encore assez faibles, bien que des rafales proches de 60 km/h soient observées sur les îles en bordure sud-est de Taïwan.
IMMENSE surf crashing ashore in SE Taiwan ahead of super #typhoon #Nepartak pic.twitter.com/jwkhgEgHYb
— James Reynolds (@EarthUncutTV) 7 juillet 2016
+ A 14h UTC le 7 juillet, les données d'une bouée mettaient en évidence le passage de l’œil du super typhon Nepartak puisqu'une pression minimale de 897 hPa a été mesurée. La chute de pression, proche de 100 hPa en une douzaine d'heures, est visible sur le graphe du bas présenté ci-dessous :

+ A 22h UTC le 7 juillet, Nepartak a touché terre sur le sud-est de Taïwan avec des rafales de vent très puissantes, estimées supérieures à 200 km/h.
L'imagerie satellite montre un affaiblissement du typhon à l'approche de l'île avec un oeil qui se refroidit sensiblement et devient moins distinct sur l'imagerie conventionnelle.

A l'approche du système, les autorités de Taiwan ont procédé à des milliers d'évacuation et des zones du sud-est de l'île notamment sont soumises à de fortes conditions cycloniques.
Des véhicules ont été renversés par la violence du vent, comme en témoigne ces clichés de James Reynolds à Taitung :


+ A 09h UTC le 8 juillet, les cumuls de pluie relevés au passage du typhon sont très conséquents, localement supérieurs à 500 mm (524 mm à Lui Shi Dan Shan). Six autres stations relèvent des lames d'eau supérieures à 400 mm :

La ville de Taïtung, située au sud-est de Taïwan a été fortement touché par le typhon. Une personne a été tuée et plusieurs autres blessées (vidéo EarthUncutTV) :